Hon: HATAR löss! Bort, bort, bort! Stått i växthus 2 och kämpat med lusbekämpning halva dagen. Såpavatten med lite t-röd i. Och så en disktrasa. Tvättat stammar och blad på citronträdet.

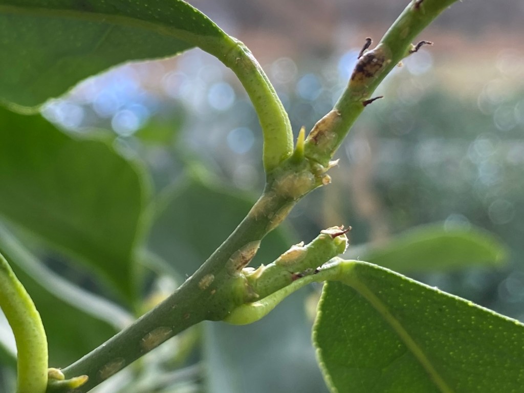
Tar en och annan sköldlus då och då när jag vattnar, den är inte helt översållad som förra hösten eftersom jag håller efter den bättre. Men hittade många på rad på en ung och fin gren ändå.

Och helt plötsligt ser jag att chiliplantan som står under citronträdet är helt full med bladlöss. Jag som varit så glad för att jag sluppit dem i år. Men nu kom de. Fast hittade inte direkt några någon annanstans. Pust! Chiliplantan är nu avspolad med både vatten och såpalösning. Den fick ny kruka med mer jord också. Den har helt klar fått för lite kärlek. Det straffar sig!

Roligare upptäckt däremot var gurkplantan med smågurkor i växthus 1. Den har en massa fina nya gurkor på gång fast den stått i samma kruka sedan maj, typ. Tack gurkan!!
Han: Inte bara löss! Fredag 16 september år 2022 bjöd på en sval morgon, +12°. Västlig vind (5-11 m/s). Molnigt, men inget regn. Frukost och tidningsläsning i sofforna. Hon är fortfarande inte frisk. Jag tror att vi båda fick en kyss av coviden när vi var i Stockholm trots att snabbtesterna sa njet.

Dagens hösttecken: Storskraken är tillbaka. Eller mellanlandar hen bara på udden? På avstånd påminner storskraken om lom eller dopping, men frissan pekar mer mot pixie cuts.
– Tänk en rödhårig Halle Barry, skådespelerskan.
I likhet med somliga människor lägger man annars i första hand märke till snoken.
– Näbben är lång, smal, rödlätt och har en nedåtböjd liten svart krok i spetsen.
Jag talar om ett femininum, ty av allt att döma rör det här sig om ett tjejgäng. I likhet med andra andfåglar är den adulta (vuxna) storskrakshanen en snobb mörkgrönt huvud, svart rygg och nästan vita vingar (vingspann: 78–94 cm). Honan däremot är mer oansenlig; rödbrunt huvud, vit haka, askgrå ovansida och vit undersida.
– Sticker ut gör bara den iögonfallande frissan, tänk Halle Barry. Honan har mycket längre nackfjädrar än hanen.

Juvenilen påminner mest om honan men har mindre nacktofs och ljusa ansiktsteckningar.Det här är utan tvekan att gäng honor med halvstora ungar, jag räknar till 19 fåglar totalt. Att jag noterar dagens hösttecken är att det är säkert fem månader sedan jag såg storskraken här på udden.
– Det är därför jag undrar om den återvänt för vintern, eller bara mellanlandat. I Sverige är storskraken talrikast i östkustens skärgårdar. I de flesta områden är storskraken en flyttfågel men den övervintrar ofta här på östkusten (söder om Stockholm) så länge Östersjön inte fryser till helt. Annars övervintrar många av de svenska storskrakarna på västerkusten, i Danmark eller längs havsstränderna på kontinenten.
Nu vet du det också.

Publicerat av